最新の釣果はこちら
2025 12.13の釣果
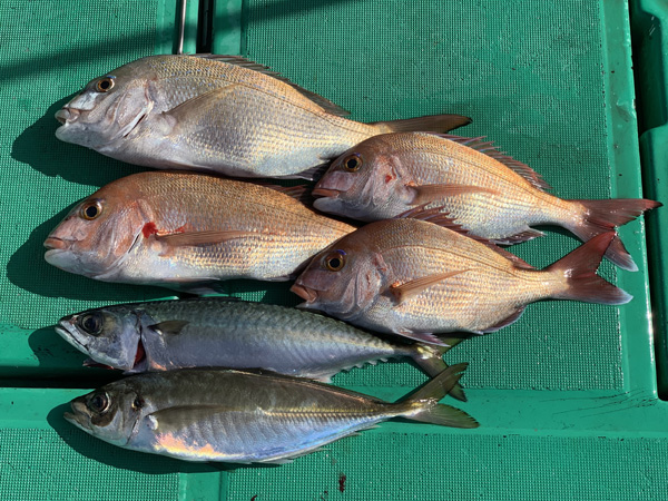
堺市の古林さんがマダイ43ー52cmを4尾、マサバ47cm、マアジ48cm。
今日は、良型マダイとマサバ、マアジが上がりました!
ありがとうございました!

堺市の古林さんがマダイ43ー52cmを4尾、マサバ47cm、マアジ48cm。
今日は、良型マダイとマサバ、マアジが上がりました!
ありがとうございました!
